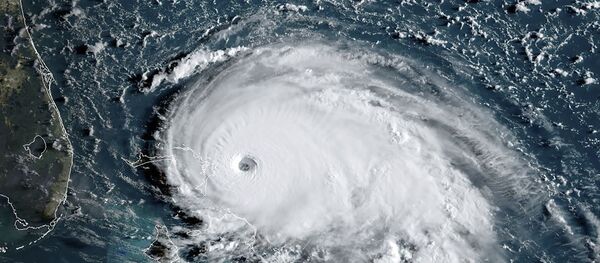
"#Dorian is now a category 5 #hurricane with 160 mph sustained winds. The eyewall of this catastrophic hurricane is about to hit the Abaco Islands with devastating winds", the US National Hurricane Centre warned on Sunday.
Dorian hit the Bahamas with 185 mph gusts earlier on Sunday and has become the strongest hurricane in history to hit the region. Local netizens have shared a shocking video of the damage done by Dorian.
The storm is reportedly expected to barrel over Florida on Monday evening.
Recent forecasting shows that US President Donald Trump's famous Mar-a-Lago resort may be affected by the powerful storm. The US president told reporters on Friday that Mar-a-Lago is a “very powerful place” and it "can handle itself”.
Follow Sputnik's feed to find out more.





